OGŁOSZENIE O PRZETARGACH NA SPRZEDAŻ NIERUCHOMOŚCI
06 mar 2019
11:24

OGŁOSZENIE O PRZETARGACH
NR WIiN-II.7740.2.2014.SCL, WIiN-II.7740.11.2014.SCL,
WIiN-II.7740.12.2014.SCL
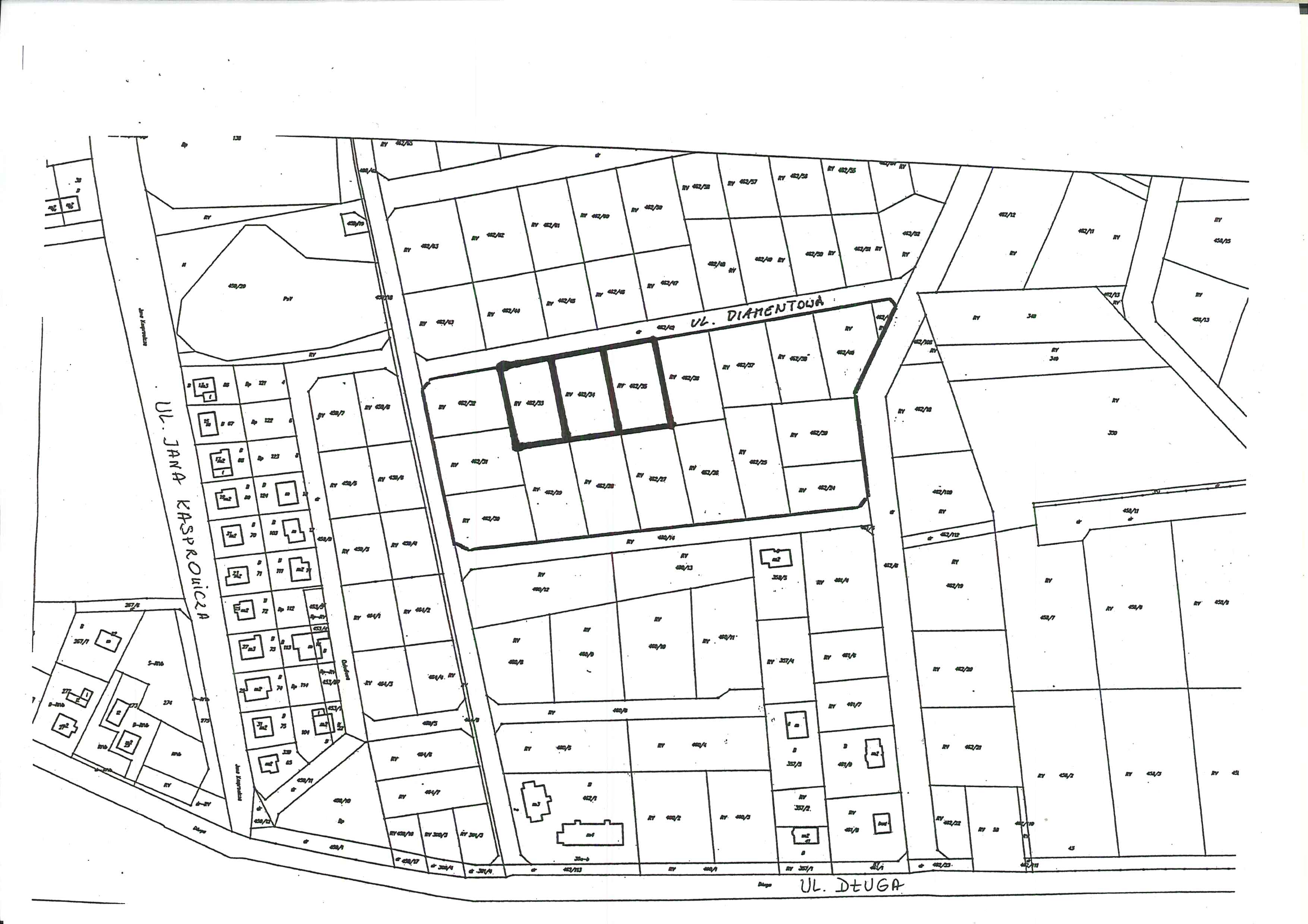
1) Trzebiatów, ul. Diamentowa, działka nr 462/33 (niezabudowana)
2) Trzebiatów, ul. Diamentowa, działka nr 462/34 (niezabudowana)
3) Trzebiatów, ul. Diamentowa, działka nr 462/35 (niezabudowana)
2) Trzebiatów, ul. Diamentowa, działka nr 462/34 (niezabudowana)
3) Trzebiatów, ul. Diamentowa, działka nr 462/35 (niezabudowana)
Dyrektor Wydziału Inwestycji i Nieruchomości Urzędu Marszałkowskiego Województwa Zachodniopomorskiego, działając z upoważnienia Zarządu Województwa Zachodniopomorskiego na podstawie pełnomocnictwa Nr 142/2016 z dnia 27 września 2016 r. ogłasza nieograniczone przetargi ustne na sprzedaż nieruchomości
-
Przedmiotem pierwszego nieograniczonego ustnego przetargu nr WIiN-II.7740.2.2014.SCL jest sprzedaż niezabudowanej nieruchomości położonej w Trzebiatowie, w rejonie ulicy Diamentowej, oznaczonej w ewidencji gruntów jako działka nr 462/33, o powierzchni 0,1103 ha, obręb Trzebiatów 6, gmina Trzebiatów, KW nr SZ1G/00044023/8.
Cena wywoławcza nieruchomości wynosi 50.700 zł (słownie: pięćdziesiąt tysięcy siedemset złotych). Do ceny osiągniętej w przetargu zostanie doliczony podatek VAT w stawce obowiązującej w dniu sprzedaży. Warunkiem przystąpienia do przetargu nr WIiN-II.7740.2.2014.SCL jest wpłata wadium w pieniądzu w wysokości 2.550 zł (słownie: dwa tysiące pięćset pięćdziesiąt złotych). Przetarg nr WIiN-II.7740.2.2014.SCL odbędzie się w dniu 9 kwietnia 2019 r. o godz. 9.00.
-
Przedmiotem pierwszego nieograniczonego ustnego przetargu nr WIiN-II.7740.11.2014.SCL jest sprzedaż niezabudowanej nieruchomości położonej w Trzebiatowie, w rejonie ulicy Diamentowej, oznaczonej w ewidencji gruntów jako działka nr 462/34, o powierzchni 0,1131 ha, obręb Trzebiatów 6, gmina Trzebiatów, KW nr SZ1G/00044023/8.
Cena wywoławcza nieruchomości wynosi 52.000 zł (słownie: pięćdziesiąt dwa tysiące złotych). Do ceny osiągniętej w przetargu zostanie doliczony podatek VAT w stawce obowiązującej w dniu sprzedaży. Warunkiem przystąpienia do przetargu nr WIiN-II.7740.11.2014.SCL jest wpłata wadium w pieniądzu w wysokości 2.600 zł (słownie: dwa tysiące sześćset złotych). Przetarg nr WIiN-II.7740.11.2014.SCL odbędzie się w dniu 9 kwietnia 2019 r. o godz. 10.00.
-
Przedmiotem pierwszego nieograniczonego ustnego przetargu nr WIiN-II.7740.12.2014.SCL jest sprzedaż niezabudowanej nieruchomości położonej w Trzebiatowie, w rejonie ulicy Diamentowej, oznaczonej w ewidencji gruntów jako działka nr 462/35, o powierzchni 0,1154 ha, obręb Trzebiatów 6, gmina Trzebiatów, KW nr SZ1G/00044023/8.
Cena wywoławcza nieruchomości wynosi 53.100 zł (słownie: pięćdziesiąt trzy tysiące sto złotych). Do ceny osiągniętej w przetargu zostanie doliczony podatek VAT w stawce obowiązującej w dniu sprzedaży. Warunkiem przystąpienia do przetargu nr WIiN-II.7740.12.2014.SCL jest wpłata wadium w pieniądzu w wysokości 2.700 zł (słownie: dwa tysiące siedemset złotych). Przetarg nr WIiN-II.7740.12.2014.SCL odbędzie się w dniu 9 kwietnia 2019 r. o godz. 11.00.
-
W/w nieruchomości położone są w środkowo-wschodniej części Trzebiatowa, w odległości ok. 9 km od Morza Bałtyckiego. Dojazd do nieruchomości od strony ul. Jana Kasprowicza lub ul. Osiedlowej. W bliskim otoczeniu nieruchomości znajduje się wielofunkcyjne boisko sportowe, szkoła podstawowa, osiedle willowe, tereny inwestycyjne oraz wielorodzinna zabudowa mieszkalna. W sąsiedztwie nieruchomości jest hydrantowa instalacja przeciwpożarowa oraz uzbrojenie w prąd i wodę.
-
Zgodnie z Uchwałą Nr XLVI/447/06 Rady Miejskiej w Trzebiatowie z dnia 29 czerwca 2006 r. w sprawie „Miejscowego planu zagospodarowania przestrzennego w rejonie ulic: Kołobrzeska, Kasprowicza i Długa w Trzebiatowie” (Dz. Urz. Woj. Zachodniopomorskiego Nr 92, poz. 1731 z dnia 23 sierpnia 2006 r.) zmienionej Uchwałą nr V/29/15 Rady Miejskiej w Trzebiatowie z dnia 26 lutego 2015 r. w sprawie zmiany miejscowego planu zagospodarowania przestrzennego w rejonie ulic: Kołobrzeska, Kasprowicza i Długa w Trzebiatowie (Dz. Urz. Woj. Zachodniopomorskiego poz. 1064 z dnia 27 marca 2015 r.) działki nr 462/33, 462/34 i 462/35 obręb geodezyjny Trzebiatów 6 znajdują się w jednostce strukturalnej planu oznaczonej symbolem 23 MN – zabudowa mieszkaniowa jednorodzinna z dopuszczeniem: lokalu użytkowego wbudowanego w budynek mieszkalny na usługi typu bytowego, jak drobny handel, działalność biurowa, gabinet itp. o powierzchni nieprzekraczającej norm określonych prawem budowlanym; budynku gospodarczego zespolonego z budynkiem mieszkalnym; maksymalnie 2-ch garaży zespolonych z budynkiem mieszkalnym. Zgodnie z w/w uchwałą nieruchomości znajdują w III strefie ochrony konserwatorskiej.
-
Przeniesienie własności w/w nieruchomości nastąpi pod warunkiem, że Gmina Trzebiatów nie wykona prawa pierwokupu określonego w art. 109 i 110 ustawy z dnia 21 sierpnia 1997 r. o gospodarce nieruchomościami (Dz. U. 2018 r. poz. 2204 ze zm.). Prawo pierwokupu może być wykonane w terminie miesiąca od dnia otrzymania przez Burmistrza Trzebiatowa zawiadomienia o treści umowy sprzedaży.
-
Żadna z w/w nieruchomości nie jest obciążona prawami osób trzecich, ani nie jest przedmiotem żadnych zobowiązań.
-
Przetargi odbędą się w wyżej wyznaczonych dniach i godzinach w siedzibie Wydziału Inwestycji i Nieruchomości Urzędu Marszałkowskiego Województwa Zachodniopomorskiego w Szczecinie, ul. Piłsudskiego 40-42, IV piętro, pokój 308 (wejście od ul. Mazowieckiej 14 – WSPR).
-
Wadium w odpowiedniej wysokości należy wpłacać do dnia 2 kwietnia 2019 r. na konto depozytowe Urzędu Marszałkowskiego Województwa Zachodniopomorskiego: 03 1020 4795 0000 9302 0130 2231. W tytule wpłaty wadium należy oznaczyć numer przetargu i jego uczestników. Wadium powinno być wniesione z takim wyprzedzeniem, aby środki pieniężne znalazły się na w/w rachunku bankowym najpóźniej w dniu 2 kwietnia 2019 r., pod rygorem uznania przez organizatora przetargu, że warunek wpłaty wadium nie został spełniony. Wadium w odpowiedniej wysokości uprawnia do udziału tylko w jednym przetargu. Wadium wpłacone przez uczestników, którzy nie wygrają przetargu, zostanie zwrócone niezwłocznie po rozstrzygnięciu przetargu, nie później niż przed upływem 3 dni od dnia zamknięcia przetargu, a uczestnikowi wybranemu jako kandydat na nabywcę nieruchomości zostanie zaliczone na poczet pozostałej kwoty ceny nabycia nieruchomości.
-
Osoby przystępujące do przetargu winny posiadać dokument potwierdzający tożsamość i okazać go Komisji Przetargowej. W przypadku osób prawnych wymagany jest aktualny odpis z Krajowego Rejestru Sądowego. Małżonkowie biorą udział w przetargu osobiście (łącznie) lub okazując pełnomocnictwo współmałżonka. W przypadku ustanowienia pełnomocnika wymagane jest pełnomocnictwo z notarialnym poświadczeniem podpisu. Powyższe dokumenty winny być złożone Komisji Przetargowej w dniu przetargu pod rygorem niedopuszczenia do udziału w przetargu.
-
O wysokości postąpienia decydują uczestnicy przetargu, z tym że postąpienie nie może wynosić mniej niż 1% ceny wywoławczej, z zaokrągleniem w górę do pełnych dziesiątek złotych.
-
Osoba ustalona jako nabywca nieruchomości zobowiązana jest do podpisania umowy w formie aktu notarialnego w terminie i miejscu wyznaczonym przez organizatora przetargu. W razie nie przystąpienia bez usprawiedliwienia do zawarcia umowy organizator przetargu może odstąpić od zawarcia umowy a wpłacone wadium nie podlega zwrotowi. Akt notarialny zostanie sporządzony na koszt nabywcy przez kancelarię notarialną wskazaną przez zbywającego.
-
Poprzednie przetargi na sprzedaż nieruchomości wymienionych w ogłoszeniu odbyły się w dniu 20.01.2015 r., 23.04.2015 r., 15.07.2015 r., 18.11.2015 r., 20.01.2016 r., 19.04.2016 r., 28.07.2016 r., 11.01.2017 r., 11.05.2017 r., 22.08.2017 r., 07.03.2018 r., 06.06.2018 r. , 12.09.2018 r. oraz 24.10.2018 r.
-
Organizator zastrzega sobie prawo do odwołania przetargów, informując o tym w formie właściwej dla ich ogłoszenia.
-
Szczegółowe informacje o nieruchomościach zamieszczonych w niniejszym ogłoszeniu można uzyskać w Wydziale Inwestycji i Nieruchomości Urzędu Marszałkowskiego Województwa Zachodniopomorskiego w Szczecinie, ul. Piłsudskiego 40-42, tel. 91 48 99 224.



