Logo UMWZP
Urząd Marszałkowski Województwa Zachodniopomorskiego


OGŁOSZENIE O II PRZETARGU NR WIiN-II.7740.4.2015.MO

20 wrz 2018 8:19 Autor: tszymanski

OGŁOSZENIE O II PRZETARGU
NR WIiN-II.7740.4.2015.MO

 

 

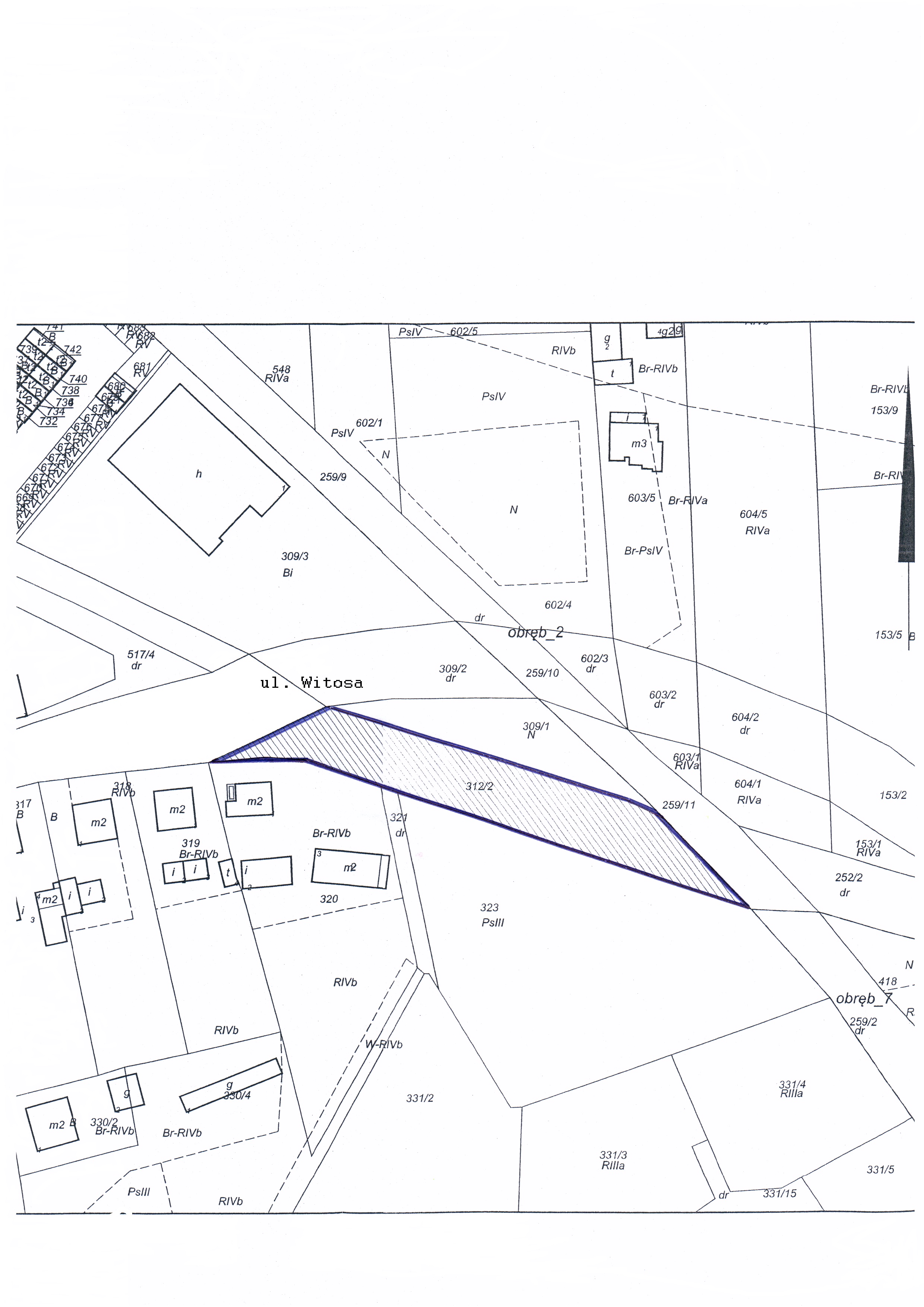
 Golczewo ul. Witosa
działka nr 312/2 (niezabudowana)

 

 

Dyrektor Wydziału Inwestycji i Nieruchomości Urzędu Marszałkowskiego Województwa Zachodniopomorskiego działający z upoważnienia Zarządu Województwa Zachodniopomorskiego na podstawie pełnomocnictwa nr 142/2016 z dnia 27 września 2016 r. ogłasza II przetarg ustny nieograniczony na sprzedaż nieruchomości.

 

 

  1. Przedmiotem drugiego przetargu ustnego nieograniczonego nr WIiN-II.7740.4.2015.MO jest nieruchomość niezabudowana, położona w Golczewie przy ul. Witosa, oznaczona w ewidencji gruntów jako działka nr 312/2, o powierzchni 0,1440 ha, obręb ewidencyjny nr 0006 Golczewo, KW Nr SZ1K/00023817/2.

 

  1. Nieruchomość jest własnością Województwa Zachodniopomorskiego. Działka posiada użytek „dr”, jednakże nie stanowi drogi publicznej. Otoczenie stanowi zabudowa mieszkaniowa, działki niezabudowane oraz droga wojewódzka nr 106, z której odbywa się zjazd do nieruchomości. Kształt działki jest nieregularny, konfiguracja terenu płaska, teren nieogrodzony.

 

  1. Nieruchomość nie jest obciążona prawami osób trzecich, ani nie jest przedmiotem żadnych zobowiązań. Jeśli na skutek sprzedaży działki nr 312/2 dostęp do drogi publicznej utracą działka nr 320 i działka nr 321 nabywca zobowiązany będzie do ustanowienia nieodpłatnej służebności gruntowej.

 

  1. Nieruchomość znajduje się na obszarze, który nie jest objęty miejscowym planem zagospodarowania przestrzennego. Zgodnie z założeniami Studium Uwarunkowań i Kierunków Zagospodarowania Przestrzennego Gminy Golczewo działka przewidywana jest jako tereny rolnicze. Między innymi dla przedmiotowej działki w dniu 20 listopada 2013 r. wydano Decyzję Nr 6/2013 o lokalizacji inwestycji celu publicznego polegającej na rozbudowie sieci 0,4 i 15 kV Golczewo-Sosnowice oraz budowie stacji transformatorowych 15/0,4 kV.

 

  1. Cena wywoławcza nieruchomości wynosi 25.000 zł (słownie: dwadzieścia pięć tysięcy złotych) + VAT w stawce obowiązującej w dniu sprzedaży.

 

  1. Przetarg odbędzie się w dniu 23 października 2018 r., o godz. 11.00 w siedzibie Wydziału Inwestycji i Nieruchomości Urzędu Marszałkowskiego Województwa Zachodniopomorskiego w Szczecinie, ul. Piłsudskiego 40-42, IV piętro, pokój 308 (wejście od ul. Mazowieckiej 14 – WSPR).

 

  1. Warunkiem przystąpienia do przetargu nr WIiN-II.7740.4.2015.MO jest wpłata wadium w pieniądzu w wysokości 1.250 zł (słownie: jeden tysiąc dwieście pięćdziesiąt złotych). Wadium w odpowiedniej wysokości należy wpłacać do dnia 16 października 2018 r. na konto depozytowe Urzędu Marszałkowskiego Województwa Zachodniopomorskiego: 03 1020 4795 0000 9302 0130 2231. W tytule wpłaty wadium należy oznaczyć numer przetargu i jego uczestników. Wadium powinno być wniesione z takim wyprzedzeniem, aby środki pieniężne znalazły się na rachunku bankowym najpóźniej w dniu 16 października 2018 r. pod rygorem uznania przez organizatora przetargu, że warunek wpłaty wadium nie został spełniony. Wadium wpłacone przez uczestników, którzy nie wygrają przetargu, zostanie zwrócone niezwłocznie, nie później niż przed upływem 3 dni od dnia zamknięcia przetargu, a uczestnikowi wybranemu jako kandydat na nabywcę nieruchomości zostanie zaliczone na poczet pozostałej kwoty ceny nabycia nieruchomości.

 

  1. Osoby przystępujące do przetargu winny posiadać dokument potwierdzający tożsamość i okazać go Komisji Przetargowej. W przypadku osób prawnych wymagany jest aktualny odpis z Krajowego Rejestru Sądowego. Małżonkowie biorą udział w przetargu osobiście (łącznie) lub okazując pełnomocnictwo współmałżonka. W przypadku ustanowienia pełnomocnika wymagane jest pełnomocnictwo z notarialnym poświadczeniem podpisu. Powyższe dokumenty winny być złożone Komisji Przetargowej w dniu przetargu pod rygorem niedopuszczenia do udziału w przetargu.

 

  1. O wysokości postąpienia decydują uczestnicy przetargu, z tym że postąpienie nie może wynosić mniej niż 1 % ceny wywoławczej, z zaokrągleniem w górę do pełnych dziesiątek złotych.

 

  1. Osoba ustalona jako nabywca nieruchomości zobowiązana jest do podpisania umowy w formie aktu notarialnego w terminie i miejscu wyznaczonym przez organizatora przetargu. W razie nieprzystąpienia bez usprawiedliwienia do zawarcia umowy organizator przetargu może odstąpić od zawarcia umowy a wpłacone wadium nie podlega zwrotowi. Akt notarialny zostanie sporządzony na koszt nabywcy przez kancelarię notarialną wskazaną przez zbywającego.

 

  1. Poprzednie przetargi przeprowadzone były w terminie: 16.05.2017 r.,11.07.2017 r., 26.09.2017 r. i 06.07.2018 r.

 

  1. Organizator przetargu zastrzega sobie prawo do odwołania przetargu, informując o tym w formie właściwej dla jego ogłoszenia.

 

  1. Szczegółowe informacje o nieruchomości zamieszczonej w niniejszym ogłoszeniu można uzyskać w siedzibie Wydziału Inwestycji i Nieruchomości Urzędu Marszałkowskiego Województwa Zachodniopomorskiego w Szczecinie, ul. Piłsudskiego 40-42, tel. 91 48 99 222.

 

Galeria

[1] [2] [3]

https://archiwum-wzp.pl/wiin/przetargi/ogloszenie-o-ii-przetargu-nr-wiin-ii774042015mo-0